
Top Trump Officials Are Moving Onto Military Bases
Stephen Miller, Marco Rubio, Kristi Noem, and others have taken over homes that until recently housed senior officers.

Stephen Miller, Marco Rubio, Kristi Noem, and others have taken over homes that until recently housed senior officers.

Journalism and fiction are both essential to a thriving democracy.

He’d like you to keep an open mind.

The president says he wants to resume nuclear testing but doesn’t seem to know why.

The United States can learn from its technological success.

Roughly 42 million Americans may not get their SNAP benefits on Saturday.

In her new book, Beth Macy returns to her Trump-voting hometown to find out how America got so divided.

Tom Nichols on Trump, the military, and what happens when loyalty replaces law. Plus: the Trump administration’s “politicized stupidity” and a discussion of Eugène Ionesco’s play Rhinoceros.

What to watch to understand your terror

A health-care battle tarnished the president’s first term. Here he goes again.

Some of the highest-scoring images from this year's 2025 Epson International Pano Awards

The rise of headphone listening has changed us profoundly—and maybe not for the better.

Trump has been busy with everything but the government shutdown.

This year, for the first time in nearly a century, more foreign-born people will likely leave the United States than will enter.

What happens when liberal cities try to circumvent the market

Americans don’t have to imagine what attempts to subvert an election could look like, because it’s already happening in one state.

The next step in Musk’s propaganda machine

Somehow, it’s becoming even harder to get a GLP-1.

Twenty-seven minutes with the latest governor Donald Trump wants arrested

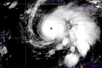
The monster storm is crawling across the Caribbean.